
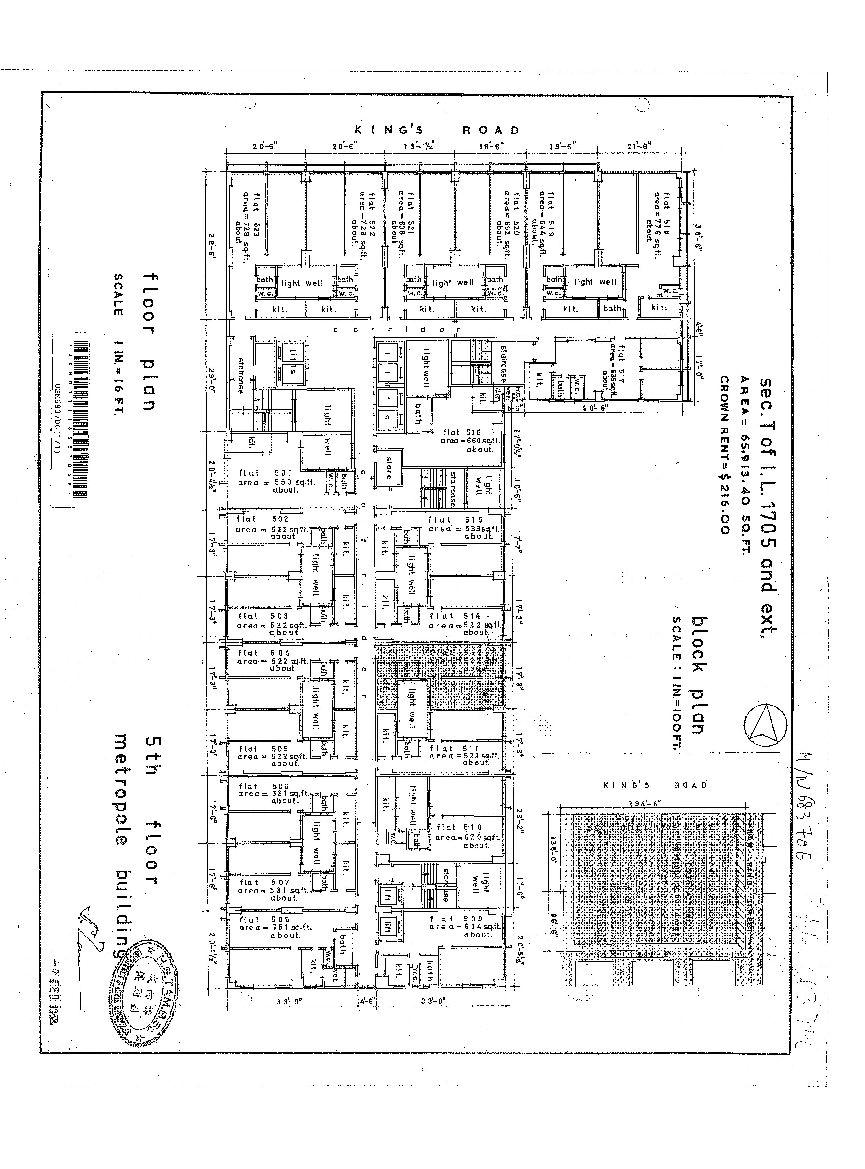
北角英皇道416号新都城大厦5字楼512号单位。(10份之8业权)
广告日期: 2026-02-26
拍卖日期: 26-2-2026
物业编号: 26022633
注 意 事 项:所 有 竞 投 者 应 委 托 其 代 表 律 师 在 拍 卖 前 对 其 竞 投 物 业 之 业 权 及 契 据 进 行 查 察 。 竞 投 者 如 未 经 查 察 而 在 拍 卖 会 竞 投 物 业 应 自 行 承 担其 风 险 , 任 何 买 家 于 拍 卖 员 落 锤 后 必 须 接 受 其 竞 投 物 业 之 业 权 及 契 据 并 不 能 对 其 物 业 之 业 权 及 契 据 进 行 质 询 。 而 物 业 之 有 关 契 据 , 在 拍 卖 前 可 在 卖 方 律 师 楼 供 买 家 查 阅 。 再 者 , 竞 投 者 应 在 竞 投 前 对 其 竞 投 之 物 业 已 进 行 视 察 并 满 意 物 业 之 状 况 才 作 出 竞 投 , 卖 方 并 不 保 证 该 物 业 并 无 违 例 之 建 筑 , 加 建 或 改 建 , 亦 不 保 证 物 业 之 兴 建 附 合 建 筑 物 条 例 , 买 家 不 得 对 物 业 之 违 例 建 筑 , 加 建 或 改 建 进 行 质 询 或 借 词 拒 绝 交 易 。 物 业 次 序 或 有 所 调 动 , 请 各 界 人 仕 预 早 到 场 。